
green sea turtle

green sea turtle

green sea turtle being cleaned

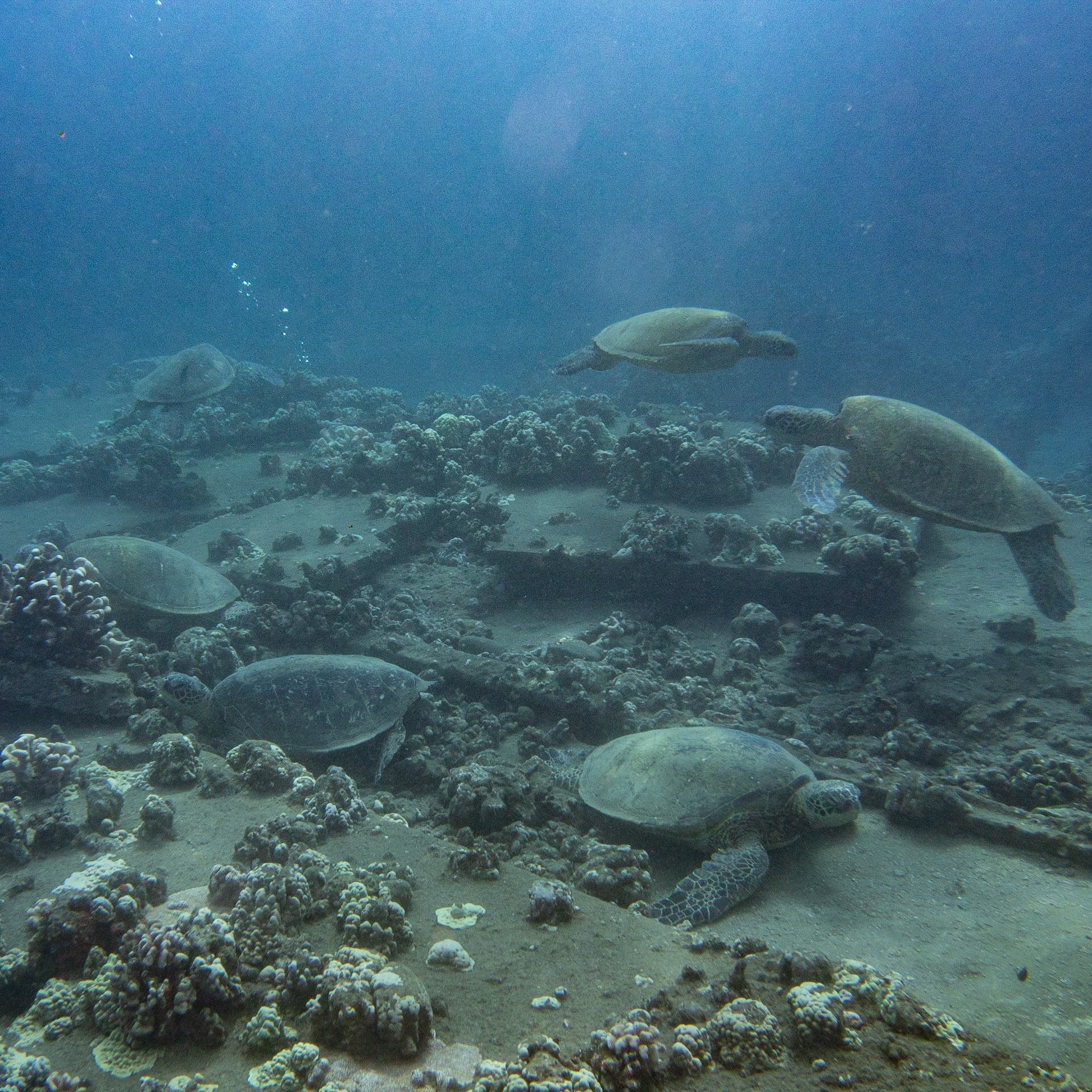
sea turtle cleaning station at Mala Pier

yellowfin goat fish

pyramid butterfly fish, Hawaiian cleaner wrasse

pyramid butterfly fish

ornate butterfly fish

bandit angel fish

four spot butterfly fish

milletseed butterfly fish

convict surgeon fish

some grouper?

Hawaiian lizard fish

longnose butterfly fish

spotted box fish

squirrel fish

ghost shrimp

slipper lobster

convex crab
